【好消息!南沙儿童公园再次升级】南沙区住建局发布关于南沙儿童公园设施完善工程初步

人在南沙 2026-01-26 11:49:39

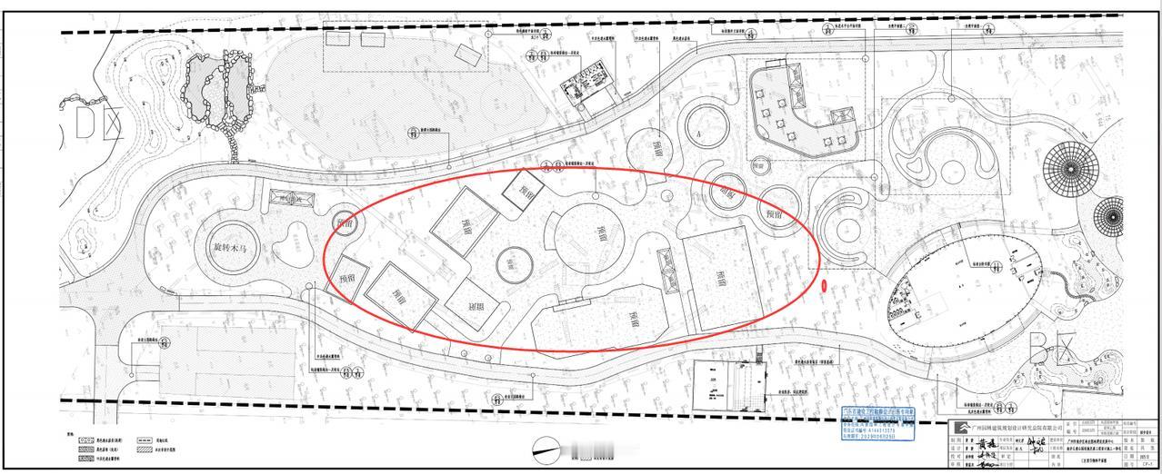
【好消息!南沙儿童公园再次升级】南沙区住建局发布关于南沙儿童公园设施完善工程初步设计及专家评审意见公示。从公示可以看到,本项目对南沙儿童公园及配套设施进行改造,项目红线面积8.2公顷,园林景观改造面积约5.8万平方米。专业包括园建、绿化、电气和给排水四个专业,其中园建专业包括分区平面标注、分区标高设计、分区材质设计、无障碍坡道设计、树池设计、水景设计和景墙设计等;绿化专业包括地被种植设计、乔木种植设计、苗木表等;电气专业包括供配电系统设计、照明系统设计、防雷系统设计等;给排水专业包括生活给水系统、排水系统、室外消火栓系统、绿化灌溉系统、海绵专章等。 早前南沙儿童公园已经对南区沙池的位置进行了升级,而按照规划,接下来还将会对北区的水池位置进行升级。 本次专家评审意见公示之后,后续的改造升级有望继续推进。而从公布的设计图来看,目前大海星水池将会新增三组大型的玩水滑梯设施,另外还会新建一个类似水贝形状的舞台。 还有目前足球场的西侧部分也会改造升级,新增攀爬娱乐设施。 最后就是目前很多小朋友喜欢在里面探险的树林迷宫位置并没有改造,应该是预留后期项目进行开发。 这个项目未来完成之后,南沙儿童公园夏天应该会变身水世界游乐园,遛娃的又有新去处了。 不过个人还是那个建议,建好了还是要进行日常维护才行,不然这样子一部分一部分的搞,搞好了那边,这边又开始破破烂烂了,死循环了。

0 阅读:13
人在南沙

人在南沙

感谢大家的关注