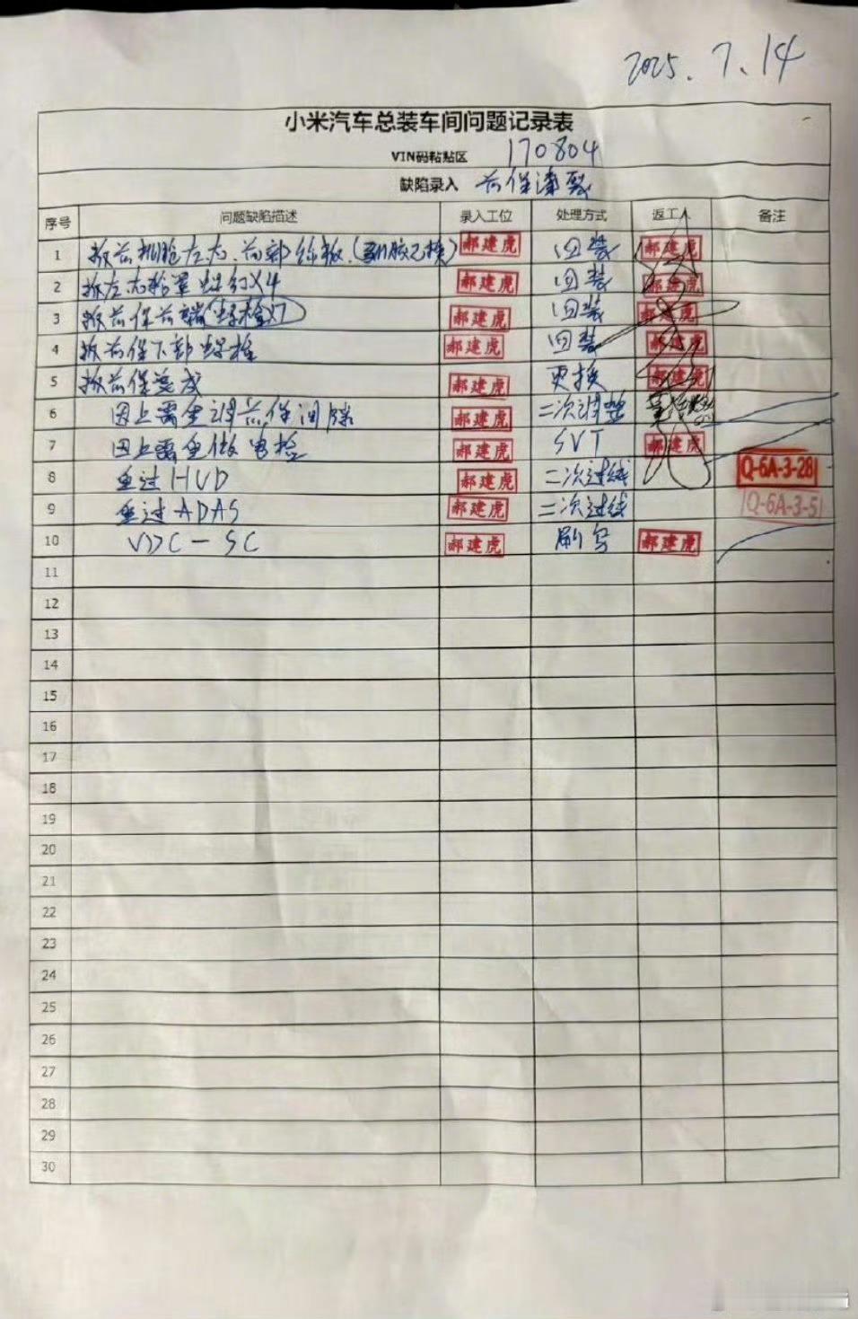
买yu7送原厂维修单额…这事就挺离谱的,如果是没付款前就已经返厂维修,这其实没啥

乐人聊科技 2025-10-25 22:09:17

买yu7送原厂维修单额…这事就挺离谱的,如果是没付款前就已经返厂维修,这其实没啥,看官方怎么回复吧。

另外,大家提车,一定要先验车,验完车没问题后再付尾款!别傻傻的交完钱还看不到车一直等。。[吃瓜] ​​​

0 阅读:0
乐人聊科技

乐人聊科技

感谢大家的关注