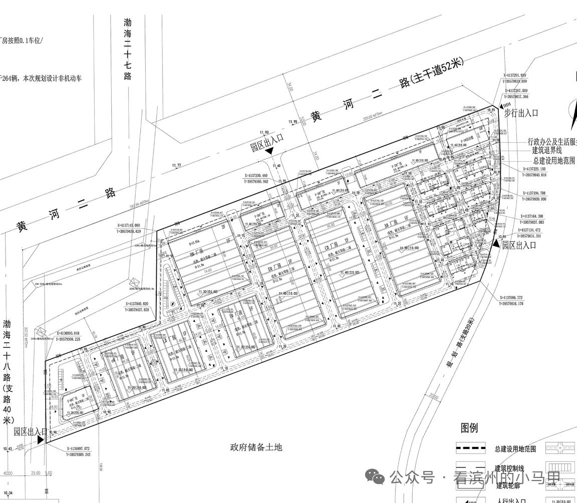
滨州“创新谷”项目规划方案公布 近日,《滨州创新谷项目规划设计方案》发布,项目位于滨州市黄河二路以南、渤海二十八路以东,总用地面积91722平方米,总建筑面积59829.97平方米,容积率1.05,建筑密度46.05%,绿地率4.61%。 该项目是山东省2025年重大实施类项目,总规划约800亩、总建筑面积约42万平方米,分三期开发,首期占地约247亩、规划建筑面积约10.04万平方米,涵盖单层标准厂房、研发中心、综合配套楼等,将依托滨州五大千亿级产业集群优势,聚焦高端智能智造企业需求,打造降本增效、环保绿色的一体化综合服务园区。 项目用地此前为苏学官村村盘,该村名源于洪武二年迁来此地、曾任官督学职的苏腊。 来源 综合滨州市自然资源和规划局




